514 572-9792
Photo - À construire
Cette inscription est présentée en collaboration avec RE/MAX 2000

Terrain à vendre, Lorraine

849 000 $

36, Ch. de Brisach

Lorraine

No Centris
#20857207
Type de propriété
Terrain
Année de construction
Superficie du terrain
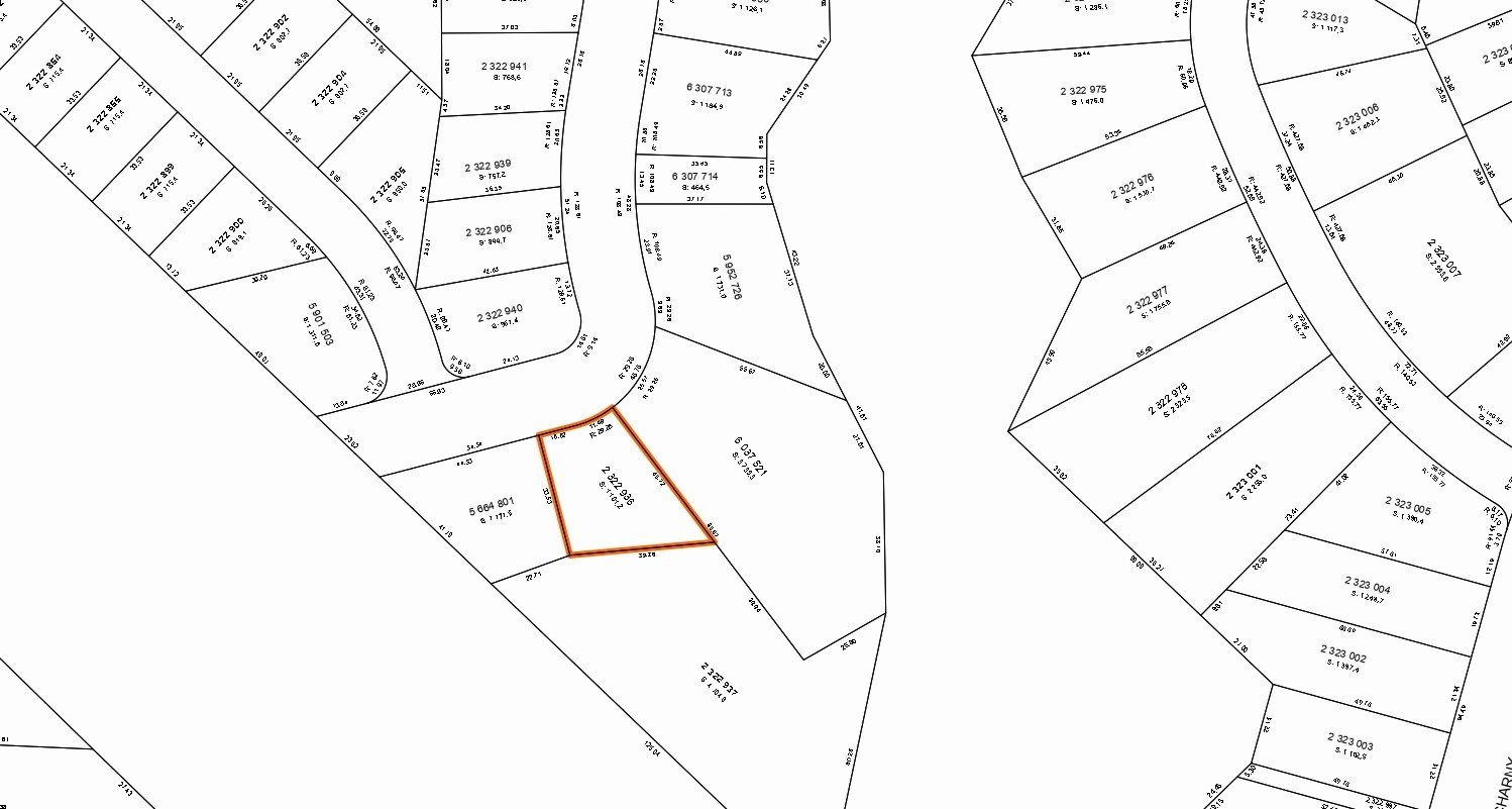
1 101.20 m²
Date d'emménagement
30 jours

Caractéristiques

Zonage
Résidentiel
Particularités
Terrain boisé : feuillus
Système d'égouts
Aucun
Proximité
Transport en commun , École secondaire, École primaire, Piste cyclable, Parc-espace vert, Golf, Garderie/CPE, Cegep, Autoroute/Voie rapide
Approvisionnement en eau
Aucun

Dimensions

Façade du terrain
21.51 m
Profondeur du terrain
45.72 m
Superficie du terrain
1 101.20 m²

Addenda

Situé dans la Ville de Lorraine, ce terrain de 1 101,2 m² offre un excellent potentiel pour un projet résidentiel dans un secteur calme et bien établi. Avec sa superficie généreuse, il permet d'envisager une construction adaptée à vos besoins, dans un environnement où la qualité de vie est au rendez-vous.

Le terrain bénéficie d'un emplacement stratégique, à proximité des écoles, des services essentiels et des principaux axes routiers, facilitant les déplacements au quotidien.

L'acheteur devra effectuer toutes les vérifications nécessaires auprès de la Ville concernant les permis, les usages autorisés et la réglementation municipale applicable.

Les frais d'infrastructure auprès de la Ville de Lorraine ont été assumés par le vendeur pour un montant de 73 145$.

Une opportunité à saisir pour bâtir dans l'un des secteurs les plus prisés de la région.

À propos de cette propriété

Situé dans la Ville de Lorraine, ce terrain de 1 101,2 m² offre un excellent potentiel pour un projet résidentiel dans un secteur calme et bien établi. Idéalement localisé, à proximité des quartiers résidentiels établis, des écoles, des services et des principaux axes routiers, ce terrain se démarque par son accessibilité et son potentiel de développement. Toute démarche de construction ou de développement devra être validée par l'acheteur auprès de la Ville, incluant les vérifications nécessaires concernant les permis et la réglementation en vigueur. Les frais d'infrastructure auprès de la Ville de Lorraine ont été assumés par le vendeur.

Demande d'information

Détails financiers

Annuel
Mensuel
Évaluation municipale (2025)
Bâtiment
1 $
Terrain
599 199 $
Taxes
Taxes scolaires (2025)
314 $ 26 $
Taxes municipales (2026)
9 488 $ 791 $

Calculateurs

  • Paiement mensuel
  • Taxe de mutation
  • Pouvoir d'achat

Montant des versements mensuels

 

**Le prix affiché n'inclut pas la prime d'assurance SCHL.

Taxe de mutation

 

** Uniquement à titre de référence, pour le montant exact, s'il vous plaît confirmer auprès de la ville ou la municipalité.

Pouvoir d'achat

 

**Le prix affiché n'inclut pas la prime d'assurance SCHL.

Vous aimez cette propriété?

Partagez-la!

Le lien a été copié dans votre presse-papier.

Nouvelles propriétés sur le marché qui pourraient vous intéresser

Vous cherchez la propriété de vos rêves? Appelez-moi pour en savoir davantage ou planifier une visite!

+

Vos préférences en matière de cookies

Les cookies sont utilisés pour optimiser le site web et collecter des statistiques d'utilisation.

Politique en matière de cookies